Development Context
The proposed Development is being taken forward by Carol Moore who lives on Hammonds Road and who operates the Shed Farm Shop Restaurant. Carol and her family have lived on Hammonds Road and in Maghaberry Village for over four generations.
“The heart behind Sanctuary Place is to deliver a transformative mixed use Senior Citizen focused Development, which completes the Village of Maghaberry through the provision of essential services, amenities and homes.”
Carol’s family has over thirty years of experience in construction and have a long track record of delivering Community benefit through construction projects across Northern Ireland and specifically within the village of Maghaberry.
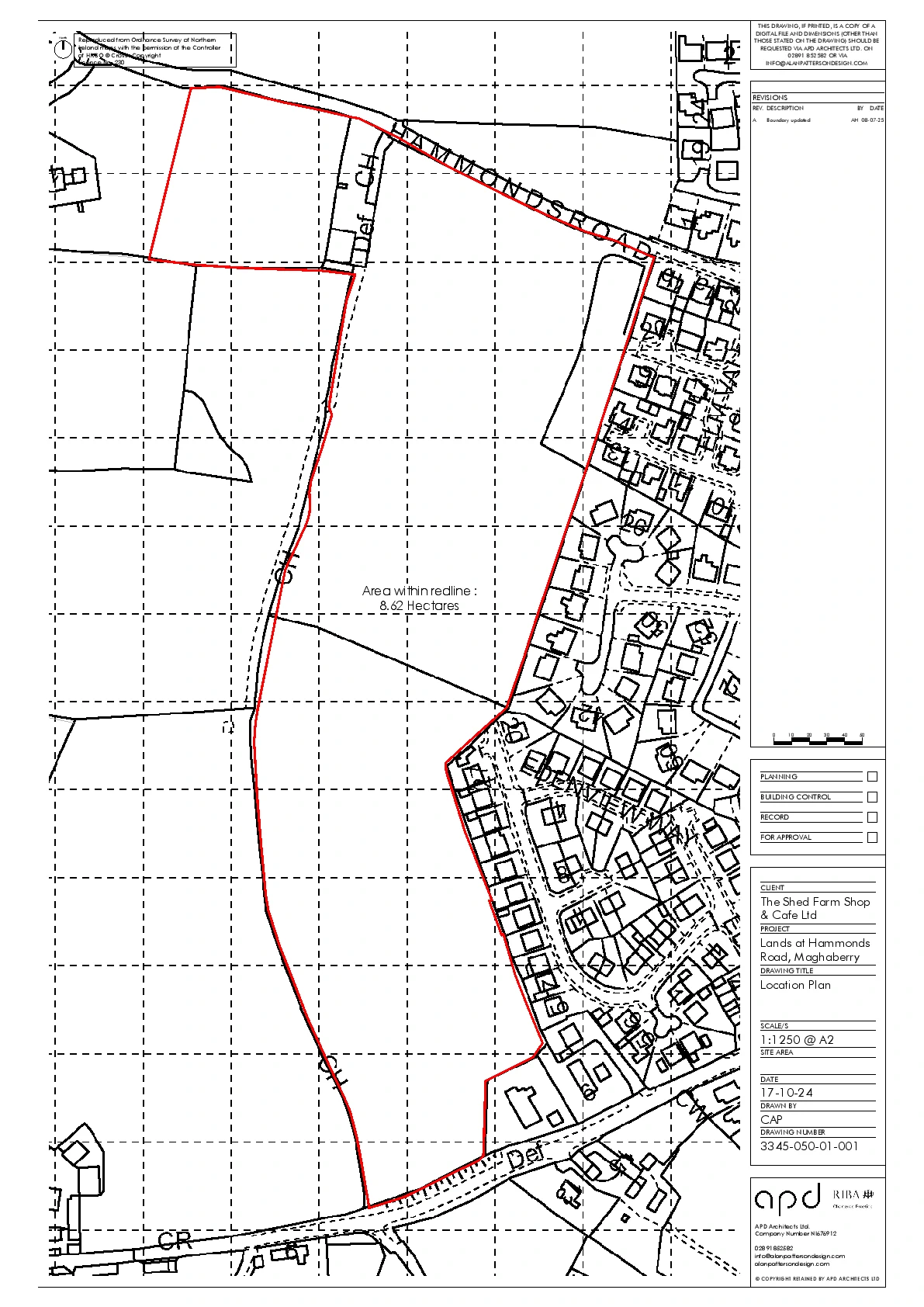
Site Development Context
The proposed site for development is situated on Hammonds Road between the Shed Restaurant and the Elmvale, Hammonds Farm & Edenview residential housing developments. The lands are geographically located to the north, east, and south of 1C Hammonds Road, Upper Ballinderry, situated between Hammonds Road and Maghaberry Road.
This area benefits from excellent transport links to Lisburn and Belfast, with easy access to the wider road network and proximity to Moria Railway Station, which is within a 2-3 minute commute. The Village has a successful multi service Community Centre with associated sports pitches and a play park. There is also a central playpark at the centre of the village across from the Village’s Retail Hub and just up from a state of the art Eurospar. The Village has multiple churches and a thriving Primary School, which makes it a strategic location for a carefully considered mixed use development, which will provide much needed senior citizens care and housing as well as Wellbeing Services and essential amenities that will benefit all demographics within Maghaberry Village.
Proposed Services
The proposed development will include a mixture of two story Nursing Home, Apartment Block, Wellness Facilities and Commercial Units. The Village currently doesn’t have a GP, Dentist, Podiatrist, Optometrist or Veterinary services, which is unsustainable for a Village of its size. Further expansion of the Shed Restaurant to include a tourism information zone, which celebrates Maghaberry’s unique and critical contribution to the Allied Forces in World War II will also be included.
All images are draft for discussion purposes




